Orthoptera Species File (Version 5.0/5.0)
       Home       Search       Taxa       Key       Help       Wiki





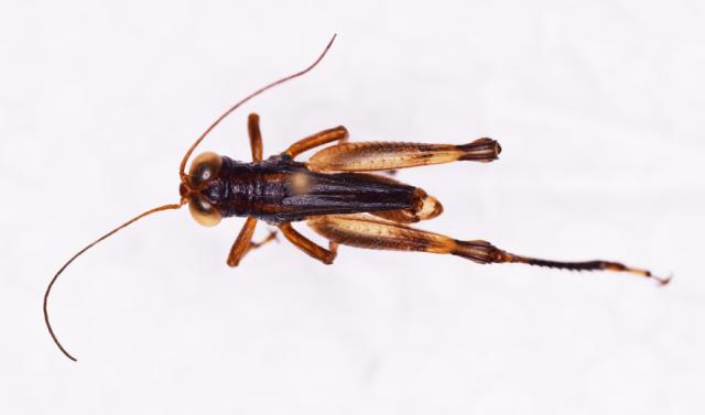
species Taeniophora pirrensis Rowell, 2012


 
male, body dorsal view (not a type)
Source: Copyright © Colección de Invertebrados y otros Artrópodos, Universidad Distrital Francisco José de Caldas (CAUD), photo Oscar J. Cadena-Castañeda
 
        Explain

Show all images for this taxon     Show all images for this specimen     Show specimen data


Creative Commons BY-SA       Home       Search       Taxa       Key       Help       Wiki      |      Top of page
Copyright © 2026.  Except where otherwise noted, content on this site is licensed under a Creative Commons Attribution-ShareAlike 4.0 International License.