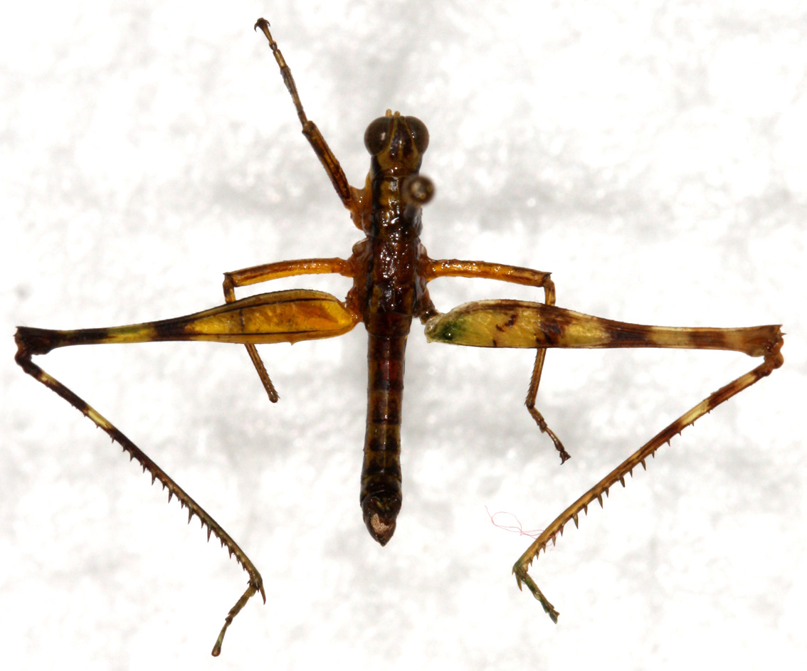
Phryganomastax lagosi (Descamps, 1971)
 
male, dorsal view (paratype)

Source: © 2009 Universidad Nacional de Colombia ICN - MHN, photo Holger Braun