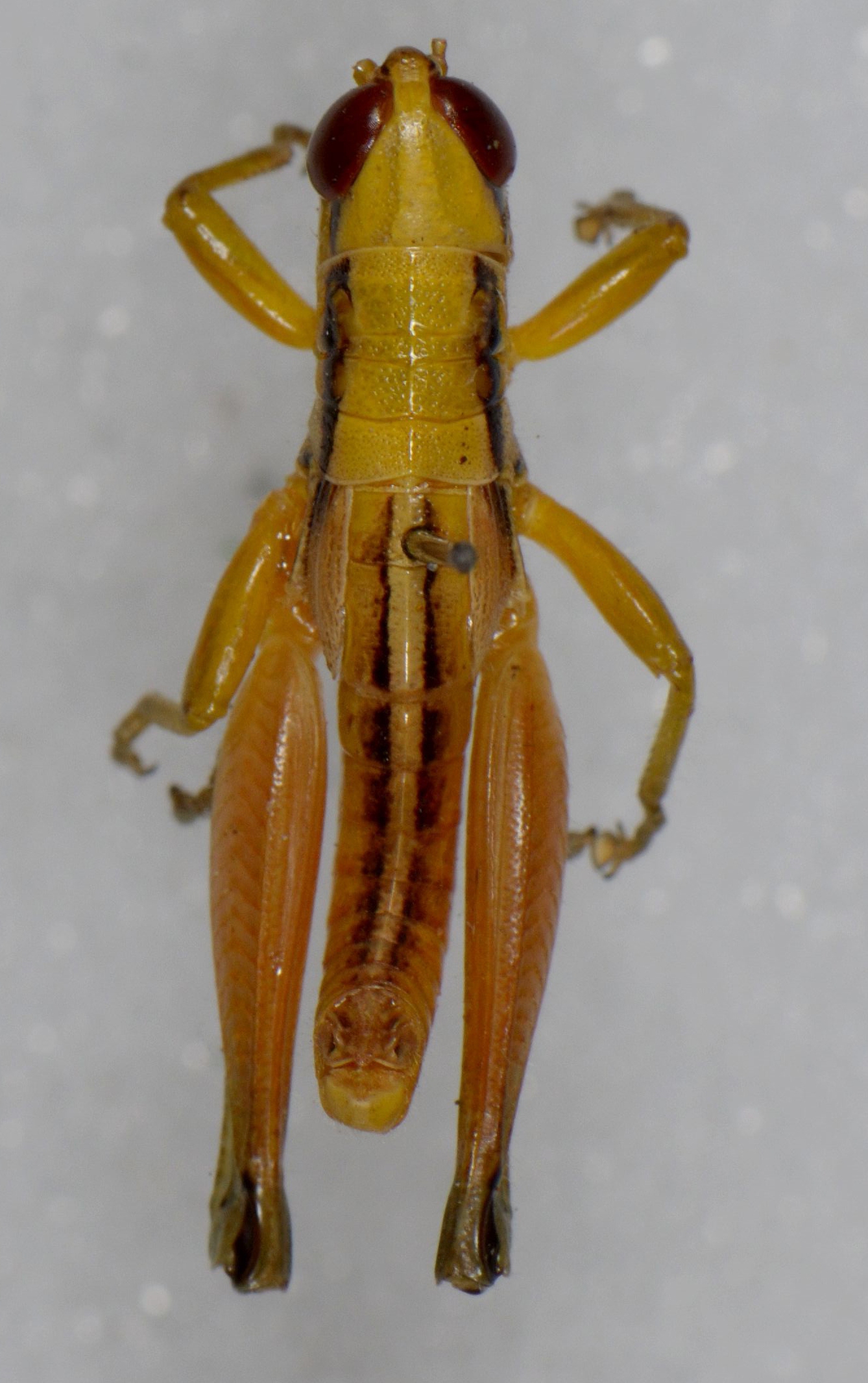
Siruvania dimorpha Henry, 1940
 
male, dorsal view (holotype)

Source: © Natural History Museum London, photo: Dhaneesh Bhaskar & Axel Hochkirch