Orthoptera Species File (Version 5.0/5.0)
       Home       Search       Taxa       Key       Help       Wiki





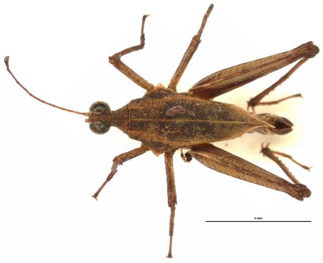
species Ophiotettix stallei Tumbrinck & Skejo, 2017


 
male, dorsal view (holotype)
Source: © Muséum des sciences naturelles de Belgique (IRSNB), Bruxelles, photo Josef Tumbrinck
 
        Explain

Show all images for this taxon     Show all images for this specimen     Show specimen data


Creative Commons BY-SA       Home       Search       Taxa       Key       Help       Wiki      |      Top of page
Copyright © 2026.  Except where otherwise noted, content on this site is licensed under a Creative Commons Attribution-ShareAlike 4.0 International License.